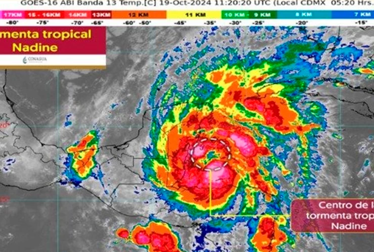
La actualización del informe del Sistema Meteorológico Nacional, detalló que durante las primeras horas de la mañana de hoy 19 de octubre, la Tormenta Tropical Nadine se intensificó ligeramente, mientras interactúa con el Frente Frío No. 4 ; por lo que se mantiene en alerta la zona Sureste de México y la Península de Yucatán
Ambos fenómenos mantendrán un temporal de lluvias puntuales intensas a torrenciales, las cuales podrían generar encharcamientos e inundaciones, en la península de Yucatán, así como viento con rachas fuertes y oleaje elevado.
MIRA ESTO: ¡2 Frentes Fríos llegarán a México! Municipios de Chiapas que tendrán bajas temperaturas
¿Dónde se ubica actualmente la Tormenta Tropical Nadine?
Se espera que alrededor del mediodía del sábado, el centro de la Tormenta Tropical Nadine impacte al norte de Belice, aproximadamente a 70 km al sur de Chetumal, Quintana Roo; sin embargo, las bandas nubosas más intensas se localizarán sobre el sur de Quintana Roo.
Actualmente se ubica a 95 km al este de la Ciudad de Belice, Belice, y a 165 km al sureste de Chetumal, Quintana Roo, por lo que se mantiene zona de prevención por efectos desde Chetumal hasta Cancún y Cozumel.
Para esta y más información, síguenos en nuestras redes sociales como en Facebook: TV Azteca Chiapas , vía X: @TVAztecaChiapas , Instagram: @tvaztechiapas y TikTok: @tvaztecachiapas
La #TormentaTropical #Nadine se intensifica ligeramente mientras continúa su trayectoria hacia Belice, donde se espera que impacte alrededor del mediodía.
— CONAGUA Clima (@conagua_clima) October 19, 2024
Más información en ⬇️https://t.co/iGFK4kt0p2 pic.twitter.com/gh8KKe5Dsu
¿Dónde afectará la Tormenta Tropical Nadine?
Los efectos de la Tormenta Tropical Nadine ocasionarán lluvias puntuales torrenciales en Campeche y Quintana Roo, así como lluvias puntuales intensas en Yucatán.
Se prevén rachas de vientos con rachas de 60 a 80 km/h, oleaje de 2 a 4 metros de altura y posible formación de trombas marinas en las costas de Quintana Roo; asimismo, oleaje de 1 a 3 metros de altura y posibles trombas marinas en costas de Campeche y Yucatán.
Otros estados afectados con lluvias debido a la Tormenta Tropical Nadine que interaccionará con el Frente Frio No. 5 son:
- Lluvias intensas con puntuales torrenciales : Veracruz, Oaxaca, Chiapas, Tabasco, Campeche y Quintana Roo.
- Lluvias muy fuertes con puntuales intensas : Yucatán.
¡ÚNETE A NUESTRO CANAL DE DIFUSIÓN DE WHATSAPP Y ENTÉRATE DE LA INFORMACIÓN AL MOMENTO!: CLIC AQUÍ
